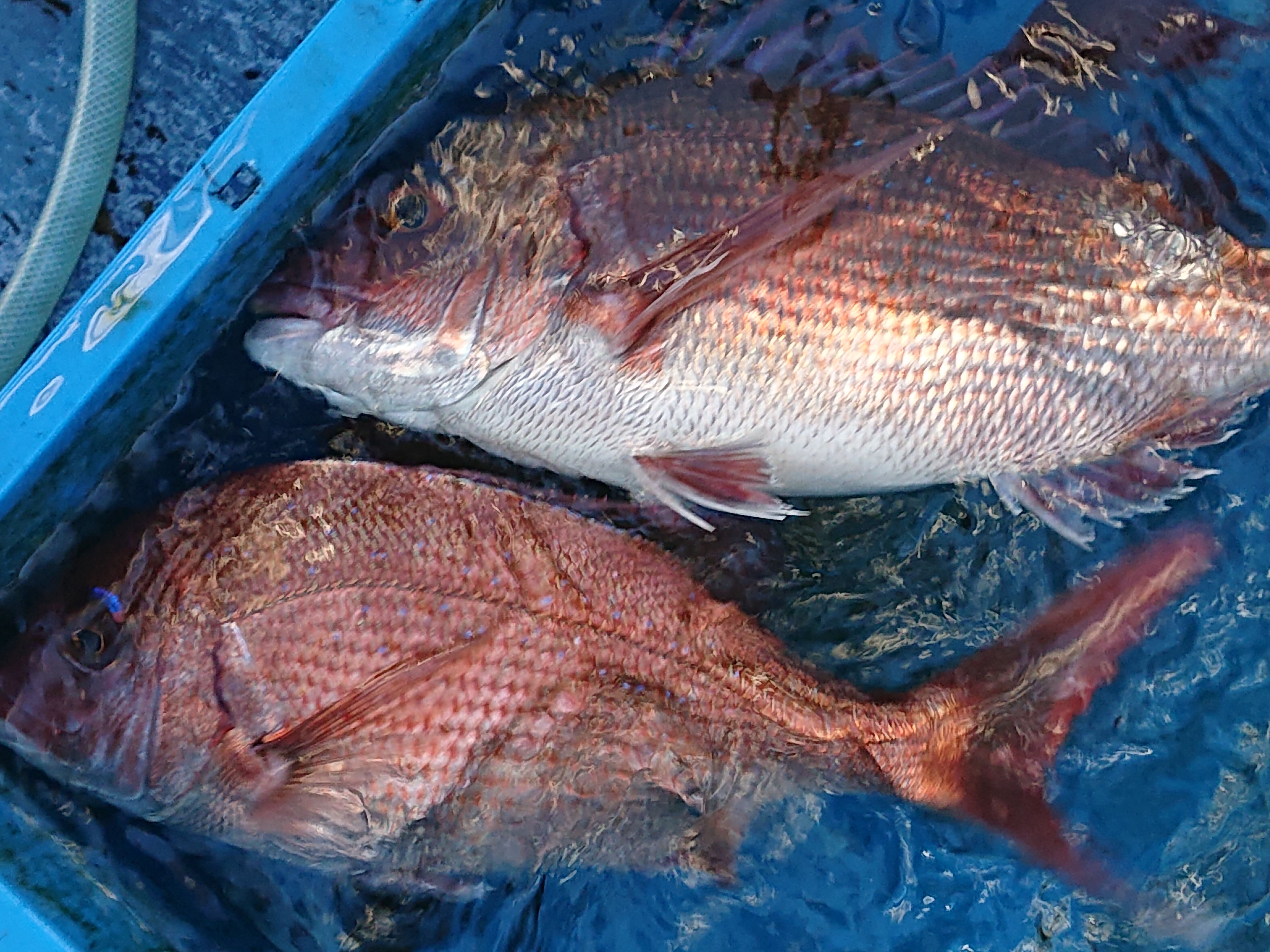
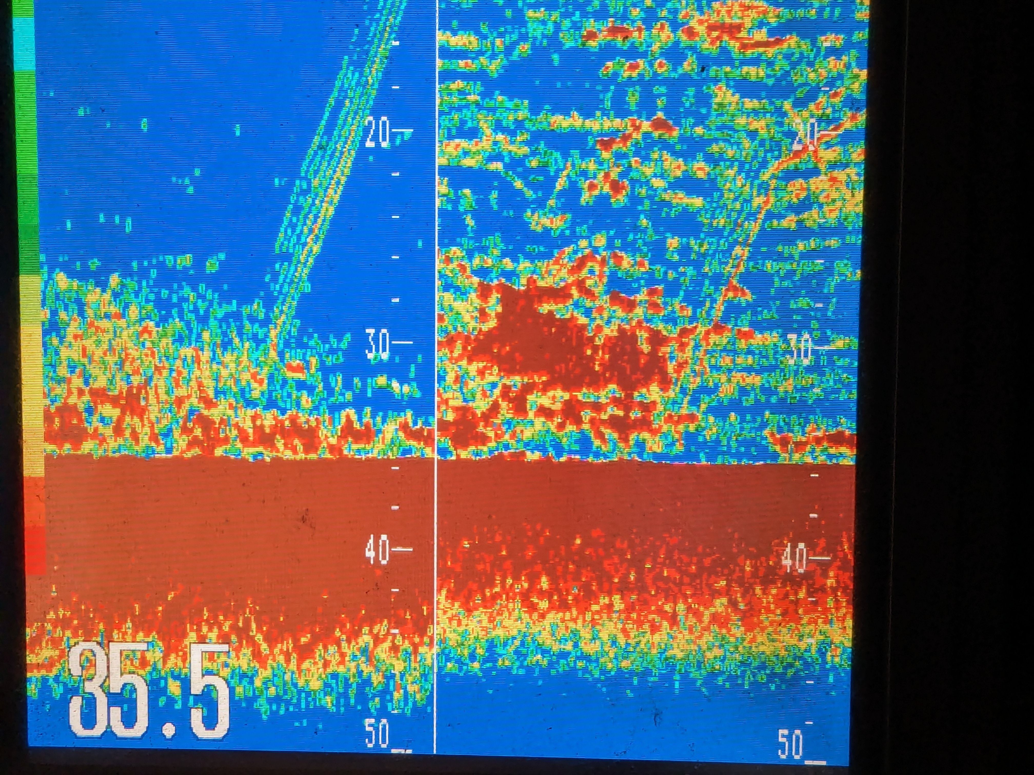
福将丸(静岡県:西伊豆:戸田)のフォトアルバム
Toggle main menu visibility
メニュー
戸田 福将丸の最新情報
履歴情報
2025/12/16
2025/12/15
2025/12/12
2025/12/10
2025/12/09
2025/12/07
2025/12/06
フォトアルバム
船の紹介
仕立(貸切)乗船名簿
マイページ
船宿へお問合せ(メール)
船宿ホームページ
法令に基づく業務規程
関東沖釣り情報
検索
最新沖釣り情報検索(キーワード指定)
釣果検索(船宿指定)
釣果検索(地区・魚種指定)
募集案内
参加船宿募集
広告掲載案内
イベント協賛案内
船長と釣人のレシピ
[ 戸田 福将丸 ]
フォトアルバム
前へ
1
2
3
4
次へ
当サイトの各コンテンツのすべてのデータは著作権法によって保護されており、無断で転用、転載、複製することはできません。リンク等をご希望の方は必ず当社にご連絡下さい。
株式会社ネクスト ( 関東沖釣り情報係り )
Tel: 045-663-4666